Właściciele zwierząt domowych dobrze wiedzą, że wiele chorób charakterystycznych dla ludzi często występuje również u zwierząt domowych. Wśród tych chorób najgroźniejsze są schorzenia kości i układu ruchu. Dobrze, jeśli chorobę uda się zdiagnozować na wczesnym etapie, ale nie zawsze jest to możliwe. Typowym schorzeniem dużych psów jest dysplazja stawów biodrowych, która może doprowadzić do całkowitego unieruchomienia zwierzęcia. Operacje nie zawsze przynosiły pożądane rezultaty. Jednak w 2024 roku zwierzęta domowe otrzymały szansę na pełne życie dzięki innowacyjnemu rozwiązaniu opracowanemu przez krakowskich naukowców – podaje portal krakow-name.eu.
Istota wynalazku

Latem 2024 roku naukowcy z Wydziału Medycyny Weterynaryjnej Uniwersytetu Rolniczego w Krakowie, Roman Aleksiewicz i Grzegorz Ramiś, zaproponowali nowatorskie rozwiązanie. Opatentowali oryginalny wynalazek – prowadnicę do piły umożliwiającej przeprowadzenie podwójnej i potrójnej osteotomii miednicy u psów. Grzegorz Ramiś zapewnił dziennikarzy, że na świecie nie istnieje podobne narzędzie – jest to pierwsza konstrukcja, która ułatwi weterynarzom i chirurgom wykonywanie osteotomii.
Prowadnice stosowano wcześniej w chirurgii do precyzyjnych cięć, jednak nie było narzędzia dedykowanego specjalnie podwójnej i potrójnej osteotomii kości. Potrzeba takiego instrumentu była ogromna, ponieważ dysplazję i zaburzenia funkcji układu ruchu często diagnozuje się u psów dużych ras, których stawy są narażone na znaczne obciążenia.
Jak objawia się dysplazja?

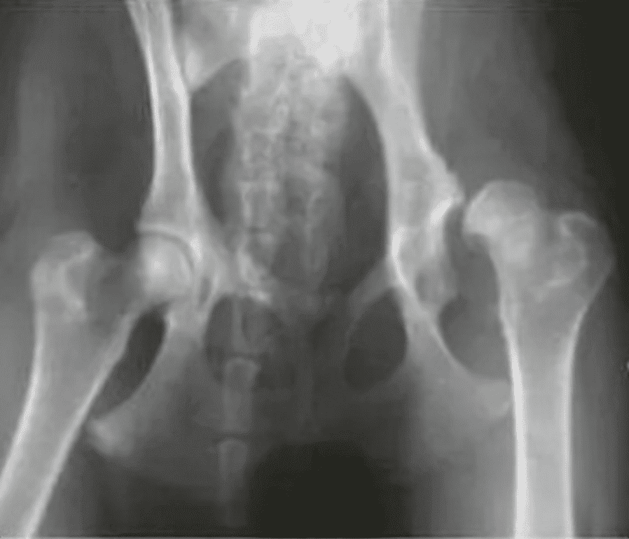
Aby w pełni zrozumieć znaczenie wynalazku, warto wyjaśnić, czym jest dysplazja. To schorzenie może wystąpić u psów w każdym wieku, ale jeśli zostanie zdiagnozowane przed ukończeniem 6. miesiąca życia, istnieje szansa na wyleczenie. W przypadku dysplazji proces formowania stawu zostaje zakłócony, co prowadzi do uszkodzenia panewki stawu, w której osadzona jest ruchoma część kości – głowa kości udowej. Weterynarze podkreślają, że jest to choroba dziedziczna, dlatego właściciele powinni bacznie obserwować swoje zwierzęta, aby w porę zauważyć objawy.
Jeśli pies nagle zaczyna mieć trudności z wchodzeniem lub schodzeniem po schodach, woli leżeć w jednej pozycji, porusza się sztywno lub kuleje, to sygnał, aby skonsultować się z weterynarzem. U psów z dysplazją stawu biodrowego pojawia się apatia, a także rezygnacja ze spacerów i zabaw z powodu bólu. Ignorowanie tych objawów prowadzi do rozwoju choroby zwyrodnieniowej stawów, co ostatecznie może skutkować paraliżem. Dodatkowo ograniczenie ruchu sprzyja otyłości, która jeszcze bardziej komplikuje proces leczenia.
Metody leczenia dysplazji

Na wczesnych etapach choroby stosuje się leki i zastrzyki, które łagodzą ból i ograniczają kulawiznę. W przypadku zaawansowanej postaci niezbędna jest operacja. Weterynarze wykonują m.in. miomektomię mięśnia grzebieniowego, rozcinając tkanki mięśniowe w celu zmniejszenia nacisku na stawy, czy też przemieszczenie mięśni obręczy miednicznej lub artroplastykę. W przypadku potrójnej osteotomii miednicy konieczne jest przeprowadzenie skomplikowanego wieloetapowego zabiegu. Dzięki wynalazkowi krakowskich naukowców liczba etapów operacji ulega znacznemu skróceniu.
Autorzy wynalazku dogłębnie analizowali ten problem i doszli do wniosku, że dysplazję można skutecznie leczyć. Według Uniwersytetu Rolniczego w Krakowie epidemiologia choroby u psów sięga nawet 65%, co jest bardzo niepokojącym wskaźnikiem. Jednym ze sposobów walki z dysplazją jest potrójna lub podwójna osteotomia miednicy, która polega na osłonięciu głowy kości udowej i zwiększeniu powierzchni podparcia w obrębie chrząstki, co ogranicza rozwój zwyrodnienia stawu biodrowego. Taka operacja nie eliminuje jednak całkowicie choroby, wymaga stałego monitorowania i stosowania leczenia podtrzymującego.
Trudności w leczeniu dysplazji u psów

Dotychczas podczas operacji lekarze wykonywali ręczne nacięcia, co czasami prowadziło do uszkodzenia warstwy korowej kości biodrowej oraz tkanek miękkich. Powstawała również nieortogonalność powierzchni osteotomii, co skutkowało niestabilnością implantu i wydłużonym czasem gojenia się ran. Wynalazek krakowskich naukowców zapewnia chirurgom niezbędne wsparcie podczas operacji.
Nowe narzędzie pozwala precyzyjnie wyznaczyć linię osteotomii i zoptymalizować cięcie kości udowej, co gwarantuje ortogonalność powierzchni oraz szybkie gojenie się ran. Wynalazcy zaprojektowali różne wersje piły, dostosowane do wielkości i rasy psów. Urządzenie pomyślnie przeszło testy, udowadniając, że nowy sposób operowania jest znacznie prostszy i bardziej efektywny.
Zainteresowanie wynalazkiem

Naukowcy Roman Aleksiewicz i Grzegorz Ramiś wyrazili chęć podzielenia się swoim wynalazkiem. Licencje na korzystanie z urządzenia mogą uzyskać firmy z Austrii, Belgii, Bułgarii, Danii, Estonii, Finlandii, Francji, Niemiec, Włoch, Łotwy, Litwy, Luksemburga, Malty, Holandii, Portugalii, Słowenii, Szwecji i Rumunii. Innowacja stworzona przez krakowskich wynalazców umożliwia wprowadzenie nowoczesnych technologii do europejskich klinik weterynaryjnych, a co najważniejsze – daje zwierzętom szansę na pełne wyleczenie, czego wcześniej nie mogli zagwarantować weterynarze przy tym trudnym schorzeniu.
